Trang nhất » Rao vặt » Bất động sản » Đất ở - Đất thổ cư

TÌM KIẾM
Đất ở - Đất thổ cư

Duy nhất lô góc 100m2 sát Quốc lộ 21 chỉ 300m, gần hoa thị Hòa Lạc chỉ 5p đi xe sẵn sổ công chứng

Thông tin mua bán
Mã tin
V1048832
Giá
Thỏa thuận
Ngày đăng
22/04/2026
Hết hạn
21/07/2026
Xem :
4
Danh mục đăng tin
Nơi rao
H. Quốc Oai » Hà Nội
Loại tin đăng
Cần bán
Họ tên
Quách Thanh Đông
Điện thoại
0393778489
Địa chỉ
mỹ đình pearl
Nội dung chi tiết
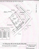
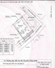
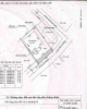
Còn duy nhất lô góc 100m² mặt tiền hơn 12m Tại trung tâm xã Phú Cát, Hòa Lạc Đường 2 ô tô tránh rải nhựa đẹp mê li Cách Đại học Quốc gia HN chỉ 5p đi xe Cách Khu công nghiệp Bắc Phú Cát chỉ 1km Quốc lộ 21 mở rộng giá tăng mạnh Phía sau đất có suối và đường đang mở rộng 24m Anh chị liên hệ em Đông 0393778489 Em Quang có xe đưa đón tận nhà đi xem ạ Cam kết phục vụ anh chị chuyên nghiệp và hỗ trợ tối đa thủ tục chuyển nhượng ạ
Tin đăng cùng chuyên mục